Notigape

Informaremos sobre cualquier eventualidad de la tormenta Beryl: Alcalde Carlos Peña Ortiz

Por: Staff NotiGape
07/07/2024 11:47
Informaremos sobre cualquier eventualidad de la tormenta Beryl: Alcalde Carlos Peña Ortiz

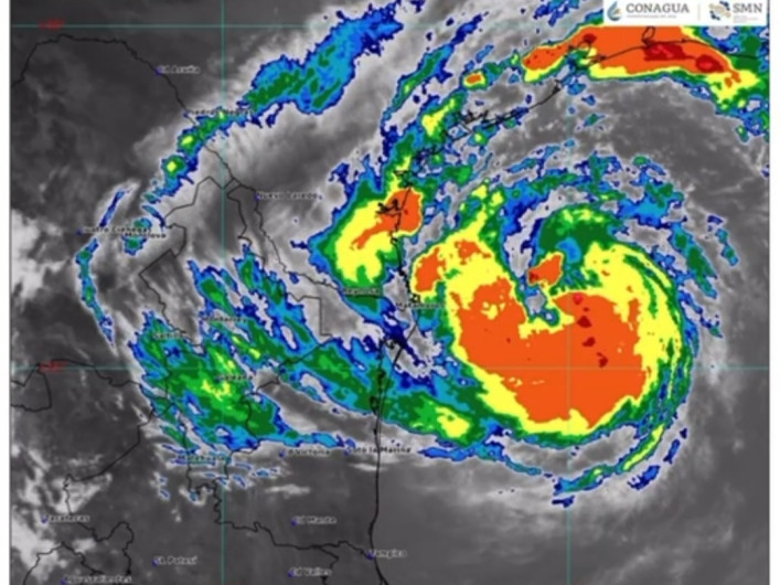
La Coordinación de Protección Civil y Bomberos informa que a las 6:00 de la mañana de hoy domingo 7 de julio, tiempo del centro de México, la tormenta tropical Beryl se localizó a 260 kilómetros al Este de Barra el Mezquital, Tamaulipas. 

"Estoy en contacto permanente con nuestro equipo de Protección Civil y Bomberos Reynosa, y les informaremos cualquier eventualidad", aseguró el Presidente Municipal Carlos Peña Ortiz. 

"De acuerdo al Sistema Metereológico Nacional, el huracán no pegará de manera directa a nuestra ciudad, sin embargo, no queda descartada la posibilidad de lluvias intermitentes de moderadas a intensas durante esta noche y la madrugada del lunes". 

La tormenta se ubicó a 265 km al Este-Sureste de Matamoros, Tamaulipas, y a 360 km al Sur-sureste de Matagorda, Texas, Estados Unidos de América; previamente el Presidente Municipal se reunió con el Comité Operativo de Emergencias de Protección Civil para confirmar que el Municipio estuvo listo para atender la emergencia. 

Por efectos de tormenta, el Servicio Meteorológico Nacional, SMN, de la Comisión Nacional del Agua, Conagua, en coordinación con el Centro Nacional de Huracanes, de Estados Unidos de América, mantiene zona de prevención desde Barra el Mezquital, Tamaulipas, hasta la desembocadura del río Bravo/Grande, frontera México-Estados Unidos de América. 

 - Clima para Reynosa: se pronostica este día, domingo 7, cielo de medio nublado a nublado con ambiente templado por la mañana, caluroso hacia la tarde con temperatura máxima de 36° Centígrados este domingo con probabilidad de lluvias intermitentes y para el día lunes mínima de 26° y máxima de 39° Centígrados, con 20% de probabilidad de lluvia. 

Notas Relacionadas

Kia